Huragan Melissa rujnuje kolejną wyspę!

Huragan Melissa utknął nad Kubą, powodując poważne zniszczenia i paraliżując życie na wyspie.

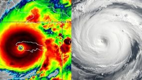
Huragan stulecia nad Jamajką! Melissa niszczy wszystko na swojej drodze!

Melissa bije rekordy siły wiatru! Jamajka w stanie wyjątkowym

Żebrowscy utknęli na Jamajce! Huragan Melissa coraz bliżej

Aleksandra i Michał Żebrowscy przebywają na Jamajce, gdzie zbliża się potężny huragan Melissa. Gwiazda relacjonuje sytuację na miejscu, a władze ogłaszają stan gotowości.

Ostrzeżenie! Niebezpieczny huragan Kirk zbliża się do Polski!

Jak huragan Kirk wpłynie na Polskę?

znak cytatu To nie huragan zwala nas z nóg ale telefon z wiadomością,że wszystko przepadło.

Fragmenty z książek
Zaślepska okładki cytatu

znak cytatu Przeznaczenie przychodzi niczym huragan, który przynosi zarówno rzeczy dobre, jak i zły, a zadaniem człowieka jest poradzić sobie z tym, co przywiał mu w ręce.

Inne